Abkürzungsliste
Vokabular
mikros-
kopische
Anatomie
Fachtermini
Deutsch
+ Englisch
erklärt

Alle publizierten Inhalte wurden eingehend geprüft, dennoch wird keine Haftung für Richtigkeit und Vollständigkeit der Angaben übernommen !

of this page

Editor:
Dr. med.
H. Jastrow


Nutzungs-
bedingungen
Miniaturbildübersicht Chromosomen (Chromosomae):
Bezeichnung der Abbildungen in Vorbereitung!
Chromosomen in der
Metaphase (Ratte)
Chromosomen
Claudius-Zelle (Ratte)
Chromosom
Detail (Ratte)
Chromosomen + multi-
lamelläres Körperchen (Ratte)
Chromosomen einer
Talgdrüsenzelle (Ratte)
Kinetochor +
Spindelfasern (Ratte)
Chromosomen Hypo-
phse (Ratte) 
Detail: Anordung in
der Metaphase
Haut (Mensch)
Anaphase
Detail 1 Detail 2 Detail 3 Haut (Mensch)
Prometaphase
Tonsilla pha-
ryngea 2 (Mensch)
Detail: Bildung von Chro-
mosomen in der Prophase
Tonsilla pharyngea
3 Prophase (Mensch)
Detail 1: Chromo-
somenbildung
Detail 2 Detail 3 Kinetochor Leberzelle
(Ratte)
Chromosomen (Terminologia histologica: Chromosomae; englisch: chromosomes) stellen die Transportform der Erbinformation während der Zellteilung (= Mitose) dar. Sie lassen sich am besten während der Metaphase der Mitose erkennen und werden üblicherweise im Karyogramm untersucht. Chromosomen entstehen durch Verdichtung (Kondensation) und Spiralisation ( schraubenförmige Anordnung) der die Erbinformation (Gene; Terminologia histologica: Gena; englisch: genes) tragenden Desoxyribonucleinsäure (DNS; englisch: desoxyribonucleic acid = DNA). Die DNS besteht aus 2 helixartig umeinander gewundenen, miteinander verknüpften Ketten aus Molekülen des Zuckers Desoxyribose, die jeweils über eine Phosphatgruppe miteinander verknüpft sind. An einem Kohlenstoffatom jedes Zuckers ist eines der 4 Nucleotide (Adenin [A], Cytosin [C], Guanin [G] oder Thymin [T]) angeknüpft. Die basischen Nucleotide einer Kette verbinden sich mit denen der anderen, wodurch ein fester Zusammenhalt entsteht, in Form von Paaren, die man auch als Basenpaare bezeichnet. Dabei verknüpft sich A der Kette 1 immer mit T der Kette 2, C der Kette 1 mit G der Kette 2 und umgekehrt. Die längsten menschlichen DNS Moleküle sind fast 10 cm lang, aber haben einen Durchmesser von nur 2 Nanometern (= 0,0000002 cm) und enthalten ca. 250.000.000 Basenpaare. Jedes Chromosom enthält nur ein lineares DNS Molekül. Damit dieses lange Molekül räumlich sinnvoll angeordnet werden kann, enthalten die Chromosomen neben der DNS 5 Haupttypen sogenannter Histonproteine (H1, H2A, H2B, H3 und H4). Die Histonproteine 2-4 ordnen sich scheibenartig zu Oktameren an, d.h. Einheiten aus 8 miteinander verknüpften Proteinen, wobei es sich um jeweils 2 Moleküle von H2A, H2B, H3 und H4 handelt. Da diese Eiweißstoffe reich an basischen Aminosäuren sind, lagern sich hier die negativ geladenen Phosphatgruppen der DNS an. Dadurch wickelt sich die DNS sozusagen um die Histonoktamere wobei ca. 146 Basenpaare um jedes Oktamer gewickelt sind. Die Einheit aus Histonoktamer und umgebenden Basenpaaren wird als Nucleosom (Terminologia histologica: Nucleosoma, englisch: nucleosome) bezeichnet und hat einen Durchmesser von ~11 nm. Dadurch erscheint die DNS wie eine Perlenkette, wobei die Kugeln durch die Nucleosomen gebildet werden, die durch dünne dazwischengelegene DNS Abschnitte (Terminologia histologica: Ligamen acidi desoxyribonuclearis; englisch: DNA linker) zusammengehalten werden. Diese "Perlenkette" wird als Chromatin-Fibrille (Begriff fehlt in der Terminologia histologica, sollte Fibrillae chromatini; englisch: chromatin fibrils heißen) bezeichnet. Die Bildung der Nucleosomen soll durch 2 weitere Proteine in Gegenwart von DNS erfolgen: Nucleoplasmin und N1 Protein, die aber selbst nicht in die Oktamere eingebaut werden, daher bezeichnet man diese Proteine als Nicht-Histonproteine. Das nicht am Aufbau der Nucleosomen beteiligte H1 Histonprotein lagert sich gegenüber der Nucleosomen an die DNS und verknüpft sich mit benachbarten H1 Einheiten zu einem Gerüst, wodurch die nächstgrößere Einheit, das Chromatosom (Terminologia histologica: Chromatosoma; englisch: chromatosome) entsteht, wodurch eine größere spiralige Anordnung der Nucleosomen entsteht. An das H1-Histon Gerüst lagern sich weitere Proteine (Scaffold-Proteine) an wie z.B. das Enzym Topoisomerase II. Die entstandenen schlauchförmigen Gebilde aus aneinandergelagerten Chromatin-Fibrillen werden dann als Chromatinfaser (Terminologia histologica: Filamentum chromatini; englisch: chromatin fibre) bezeichnet. Eine Chromatinfaser hat einen Durchmesser von 30 nm. Durch weitere Faltung der 30 nm Schläuche, die sich teils auch umeinander wickeln, entstehen die ca. 700 nm breiten Chromosomenabschnitte, diese wiederum lagern sich in Form der Chromatiden (Terminologia histologica: Chromatidea; englisch: chromatid, sister chromatid) relativ dicht hintereinander. Die beiden Chromatiden eines Chromosoms sind an einer Stelle miteinander verbunden, die man als Centromer (Terminologia histologica: Centromerus; englisch: centromere) im Bereich einer primären Einschnürung (Terminologia histologica: Constrictio primaria; englisch: primary constriction) bezeichnet. Im Bereich des Centromers finden sich Centromer spezifische Abfolgen von Nucleinsäuren, die als CEN Sequenz bezeichnet werden. An diese bindet sich der Centromer-binding Factor, der auch Rekombnationskörnchen (Terminologia histologica: Spherula centromeri; englisch: recombunation granule) genannt wird, ein Komplex aus 3 Proteinen, die einerseits an die DNA binden und andererseits Bindungsstellen für Mikrotubuli aufweisen. Hier am Centromer setzen in der Mitose die Spindelfasern (= Mikrotubuli) an, welche dann von beiden Seiten an den Tochterchromatiden ziehen und für deren Trennung sorgen. Ein Kinetochor (Terminologia histologica: Kinetochorus; englisch: kinetochore) besteht aus plattenförmig aufeinandergelagerten Proteinlamellen in der Zentromerregion eines Chromosoms. Hierbei wird unterschieden eine innere grobkörnige Platte (Terminologia histologica: Stratum granulare crassum intimum; englisch: innermost coarse granular layer, inner plate), eine mittlere feinfaserige Schicht (Terminologia histologica: Stratum filamentosum medium; englisch: middle fibrous layer) und eine äußere elektronendichte Platte (Terminologia histologica: Stratum densum superficiale; englisch: outermost dense layer, outer plate). Außen lagert sich eine diffuse Corona (Terminologia histologica: Corona fibrosa; englisch: fibrous corona) an, die wie auch die äußere Lamelle Mikrotubulusbindeproteine (CLIP-170) und Mikrotubulusmotorproteine (Dynein, CENP-E) enthält. Das Kinetochor bindet an die Plusenden von sogenannten Kinetochoren-Mikrotubuli (Terminologia histologica: Microtubuli kinetochores; englisch: kinetochor microtubules).
Als Telomere (Terminologia histologica: Telomeri; englisch: telomers) bezeichnet man die nach außen gerichteten Enden der Chromosomen.
Die Zahl der Chromosomen von Organismen ist artspezifisch gleichbleibend. Mit Ausnahme der für die Fortpflanzung gebildeten Geschlechtszellen besitzen alle übrigen (= somatischen) menschlichen Zellen einen doppelten (= diploiden) Chromosomensatz aus 46 Chromosomen, die sich aus 44 Autosomen (Terminologia histologica: Autosomae; englisch: autosomes) und 2 Gonosomen (Terminologia histologica: Chromosomae sexualia, Gonosomae; englisch: sex chromosomes) zusammensetzen. Unter den Autosomen faßt man alle diejenigen Chromosomen zusammen, die Erbinformationen für die Bildung (= Synthese) nicht vom Geschlecht abhängiger Proteine des Körpers enthalten. Diese Chromosomen sind jeweils doppelt vorhanden, wobei je eines von der Mutter und eines vom Vater stammt. Die einander entsprechenden, gleiche Gene tragenden Chromosomen werden auch als homologe Chromosomen bezeichnet. Die auch als Heterosomen (Terminologia histologica: Heterosomae; englisch: heterosomes) bezeichneten Gonosomen oder Geschlechtschromosomen tragen neben einer größeren Zahl anderer Gene die Erbinformation zur Synthese geschlechtsspezifischer Proteine, die auch für die Steuerung der Bildung der primären und sekundären Geschlechtsorgane in der Entwicklung verantwortlich sind. Dabei handelt es sich um das X-Chromosom (Terminologia histologica: Chromosoma X, Gonosoma femininum; englisch: X chromosome) und das Y-Chromosom (Terminologia histologica: Chromosoma Y, Gonosoma masculinum; englisch: Y chromosome). Während weibliche Organismen in allen somatischen Zellen 2 X-Chromosomen besitzen, weisen männliche Individuen dort je ein X- und ein Y-Chromosom auf. Bei weiblichen Individuen wird jedoch nur die Erbinformation eines X-Chromosoms genutzt während das andere als sogenanntes X-Chromatin oder heterochromatisches Körperchen (Barr Körperchen; Terminologia histologica: Chromatinum sexuale; englisch: sexchromatin) inaktiv bleibt. In Epithelzellen der Mundschleimhaut läßt es sich oft lichtmikroskopisch oder auch im Elektronenmikroskop als, oft an die innere Kernmembran des Zellkerns angelagertes, 1-2 µm durchmessendes Heterochromatin erkennen.
Die weiblichen Geschlechtszellen (Eizellen) besitzen einen halben (haploiden; Terminologia histologica: Haploidia; englisch: haploidy) Chromosomensatz, wobei alle Autosomen nur einmal vorhanden sind und als Gonosom ein X-Chromosom dazukommt (Chromosomenzahl: 22 + X). Männliche Geschlechtszellen (Spermien) sind ebenfalls haploid, wobei das Gonosom entweder ein X- oder ein Y-Chromosom ist (Chromosomenzahl: 22 + X oder + Y). Bei der Befruchtung ergänzen sich die Chromosomen von Vater und Mutter wodurch die befruchteten Eizellen wieder einen vollen (diploiden Chromosomensatz enthalten (entweder weiblich: 44 + XX oder männlich: 44 + XY). Die meisten Körperzellen besitzen in ihren Zellkernen einen vollständigen (doppelten) Chromosomensatz (Terminologia histologica: Diploidia; englisch: diploidy). Solche Zellen bezeichnet man als euploid (Terminologia histologica: Euploidia; englisch: euploidy). In einigen Organen können bestimmte Zellen in ihren Zellkernen auch mehrfache Chromosomensätze (Terminologia histologica: Polyploidia; englisch: polyploidy) aufweisen, man spricht dann von polyploiden Zellen. Solche polyploiden Zellen sind z.B. Leberzellen (Hepatozyten). Man nimmt an, daß dies durch die enorme Stoffwechselleistungen dieser Zellen bedingt ist, dabei findet man unter normalen Bedingungen dann einen vierfachen (tetraploiden; Terminologia histologica: Tetraploidia; englisch: tetraploidy), sechsfachen (hexaploiden) und sehr selten auch 8-fachen (oktaploiden) Chromosomensatz. Ungerade Vervielfachungen (Terminologia histologica: Aneuploidia; englisch: aneuploidy) wie dreifachen (triploiden) oder fünffachen (pentaploiden) Chromosomensatz trifft man unter pathologischen Bedingungen z.B. in Tumorzellen oder in in Zellkultur gehaltenen Zellen an.
Die Gestalt und Größe der Chromosomen sind konstant, wodurch eine Klassifikation ermöglicht wird. Dabei werden die Autosomen ihrer Größe nach von 1 (247 Mega Basenpaare) bis 22 (47 Mega Basenpaare) durchnumeriert. Sie liegen jeweils doppelt vor und ergeben mit den beiden Gonosomen dann die für den Menschen übliche Zahl von 46 Chromosomen. Nach Größe, Lage und Länge der Chromosomenarme zur engsten Stelle, dem Centromer kann man die Chromosomen in einem Karyogramm anordnen, was für die Untersuchung von Anormalitäten wie dreifaches Auftreten eines Chromosoms (Trisomie) oder nur einfaches Auftreten eines Chromosoms (Monosomie) bei genetischen Untersuchungen von Interesse ist. Karyogramme (Terminologia histologica: Conjectus chromosomatis, englisch: chromosome spread) werden üblicherweise aus Lymphozyten, einer Sorte der weißen Blutkörperchen in der Metaphase der Mitose erstellt. Metaphasechromosomen bestehen aus 2 länglich rundlichen Anteilen, den Chromatiden, die an einer Stelle miteinander verbunden sind, die man als Centromer bezeichnet. Je nach der Position des Centromers unterscheidet man: metacentrische Chromosomen (Terminologia histologica: Chromosomae metacentricae; englisch: metacentric chromosomes; Centromer in der Mitte: Chromosomen 1,2,3,11,19,20,X), submetacentrische Chromosomen (Terminologia histologica: Chromosomae submetacentricae; englisch: submetacentric chromosomes; Centromer nicht genau in der Mitte: Chromosomen 6,7,8,12), acrocentrische Chromosomen (Terminologia histologica: Chromosomae acrocentricae; englisch: acrocentric chromosomes; Centromer nahe einem Ende: Chromosomen 13,14,15,21,22,Y), subacrocentrische Chromosomen (Terminologia histologica: Chromosomae telocentricae; englisch: telocentric chromosomes; Centromer etwas näher zum Ende als zur Mitte hin gelegen: Chromosomen 4,5,9,10,16,17,18).
Zusätzlich teilt man die Chromosomen noch in verschiedene Gruppen ein: Gruppe A (metazentrisch, Chromosom 1-3), Gruppe B (submetacentrisch, Chromosom 4+5), Gruppe C (submetacentrisch, Chromosom 6-12), Gruppe D (acrocentrisch, Chromosom 13-15), Gruppe E (submetacentrisch, Chromosom 16-18), Gruppe F (metacentrisch, Chromosom 19-20), Gruppe G (acrocentrisch, Chromosom 21-22 und das Y-Chromosom) und das metacentrische X-Chromosom.
Da das Centromer auch in den metacentrischen Chromosomen nicht ganz genau in der Mitte liegt, kann man an jedem Chromosom 2 längere und zwei kürzere Arme (Schenkel; Terminologia histologica: Crura cromosomatis; englisch: chromosome arm, chromosome limb) zuordnen. Hierbei werden die 2 längeren Schenkel mit q bezeichnet (Terminologia histologica: Crus q, Crus longum; englisch: q arm, long arm) und die beiden kürzeren mitp (Terminologia histologica: Crus p, Crus breve; englisch: p arm, short arm). Außerdem findet man noch sekundäre Einschnürungen der kurzen Arme der acrozentrischen Chromosomen 13, 14, 15, 21 und 22, die auch als nucleoläre Chromosomen (Terminologia histologica: Chromosomae nucleolaria, Chromosomae satellitae; englisch: nucleolar chromosomes, satellite chromosomes) bezeichnet werden. Hier befinden sich Regionen, die für die Bildung der Kernkörperchen (Nukleolen) wichtig sind, die Nucleolus-Organisationszentren (Terminologia histologica: Nucleolum operans regio; englisch: nucleolar organizing region, NOR). Die Enden der kurzen Arme dieser Chromosomen werden ab der sekundären Einschnürung (Terminologia histologica: Constrictio secundaria; englisch: secondary constriction) als Satelliten (Terminologia histologica: Satelles chromosomates; englisch: satellites of chromosomes) bezeichnet. Mit Hilfe spezieller Färbemethoden (z.B. Orcein) lassen sich die Chromosomen lichtmikroskopisch anfärben und zeigen hier unterschiedlich stark gefärbte Abschnitte, was auf unterschiedliche Packungsdichte der Chromatinfibrillen und unterschiedliche Anteile der Basenpaare Adenin-Thymin (A-T) zu Cytosin-Guanin (C-G) zurückzuführen ist. Hierdurch finden sich für jeder Chromosom typische Bandenmuster, die zusammen mit der Chromosomengröße und der Lage des Centromers zur oben erwähnten Erstellung von Karyogrammen mit herangezogen wird. Diese Bandenmuster sind elektronenmikroskopisch nicht zu erkennen. Die C-Banden (Terminologia histologica: Striae C; englisch: C bands; centromere bands) lassen sich nur durch eine Giemsa-Färbung nach NaOH und Hitzedenaturierung sehen. Die G-Banden (Terminologia histologica: Striae G; englisch: G bands) sind nur nach Trypsin Behandlung der Chromosomen und anschließender Giemsa-Färbung erkennbar. Die Q-Banden (Terminologia histologica: Striae Q; englisch: Q bands) lassen sich nur fluoreszenzmikroskopisch nach Zugabe des Farbstoffes Quinacrin sehen. Die an den Basenpaaren GC-reichen R-Banden (Terminologia histologica: Striae R; englisch: R bands) sind nur nach Zugabe des Farbstoffes Olivomycin sichtbar. Bei der Betrachtung der verschiedenen Banden unterscheidet man zwischen euchromatischen Regionen (Terminologia histologica: Regiones euchromaticae; englisch: euchromatic regions), die sich gleichmäßig anfärben und heterochromatischen Regionen (Terminologia histologica: Regiones heterochromaticae; englisch: heterochromatic regions) mit klar unterscheidbaren hellen und dunklen Abschnitten auf den Chromosomenarmen.
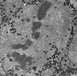
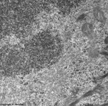
Im Transmissionselektronenmikroskop stellen sich Chromosomen als elektronendichte feinkörnige Strukturen dar. Sie lassen sich nur in der Prometaphase, Metaphase und Anaphase einer Mitose erkennen. Dabei entstehen aus einem Chromosom zwei identische Tochterchromosomen (Terminologia histologica: Chromosomae filialia; englisch: daughter cromosomes). Sie sind  2 bis 10 µm lang und ihre beiden Chromatiden sind ca. 0,5 µm dick. Ohne spezielle Verfahren ist es nicht möglich elektronenmikroskopisch die einzelnen Chromosomen voneinander zu unterscheiden.

--> Euchromatin, Heterochromatin, Kernplasma, Mitose, Zellkern, synaptonemaler Komplex
--> Elektronenmikroskopischer Atlas Gesamtübersicht
--> Homepage des Workshops


Aufnahmen, Seite & Copyright H. Jastrow.